Cyclone triggers outages at major Australian LNG plants
A cyclone off Australia triggered outages at two of the world's largest LNG plants, energy giant Chevron said Friday as Middle East turmoil stoked soaring demand for the fuel.
The Gorgon and Wheatstone gas plants in Australia collectively supply about five percent of the world's liquefied natural gas, according to Chevron figures.
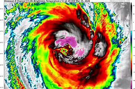
Both suffered outages on Thursday afternoon as Tropical Cyclone Narelle lurked off the coast of Western Australia.
"Chevron Australia is working to restore production at the Gorgon and Wheatstone gas facilities following production outages," Chevron said in a statement.
"We will resume full production at both facilities once it is safe to do so."
The US-Israel war on Iran has caused major disruptions to global supplies of both oil and LNG.
Qatar, the world's second-largest LNG producer, has seen LNG exports plunge as fuel tankers steer clear of the Strait of Hormuz.
LNG prices in some parts of Asia -- which is heavily dependent on imported fuel -- have more than doubled.
Chevron is one of two major natural gas producers in Western Australia, alongside Woodside Energy.
Between them, the two companies account for more than 15 percent of international natural gas exports.




